
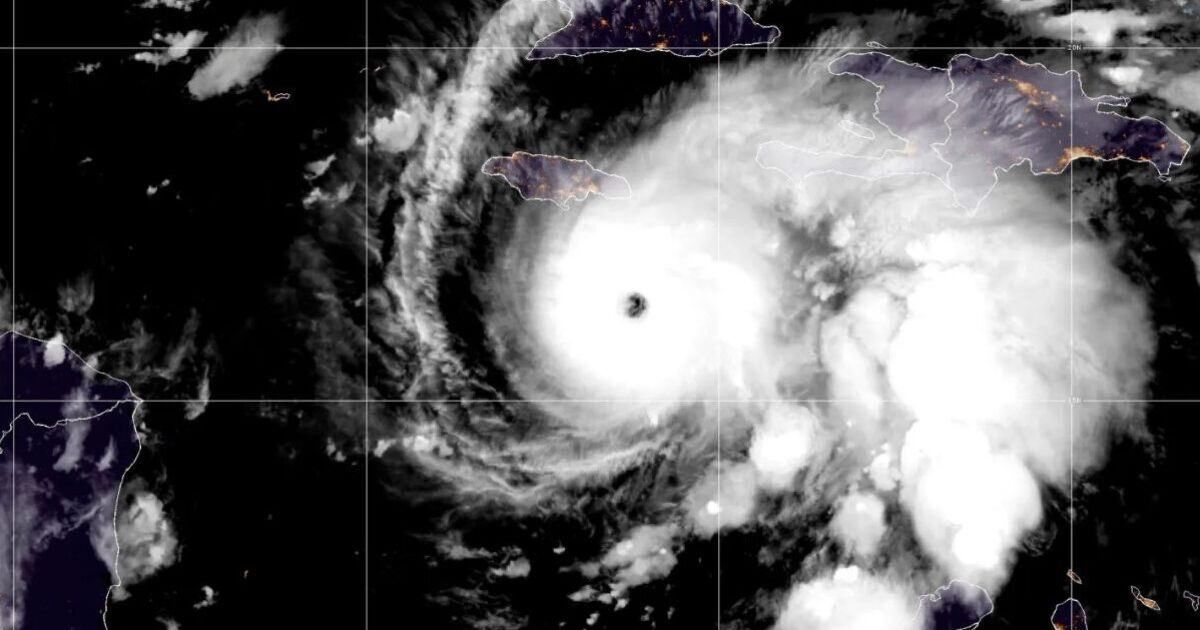
Les Caraïbes se préparent à l’ouragan Melissa, l’un des plus puissants jamais frappés dans la région. Renforcé en tempête de catégorie 5, il devrait toucher terre en tant qu’ouragan majeur sur l’île des Caraïbes aujourd’hui, mardi 28 octobre.
Les vents devraient culminer à 160 mph, ce qui en fera le plus fort des cinq ouragans jamais enregistrés ayant frappé directement la Jamaïque. Les vacanciers britanniques sont avertis des « crues éclair et glissements de terrain catastrophiques ». Le ministère des Affaires étrangères prévient : « On s’attend à des niveaux de précipitations exceptionnels sur l’ensemble de la Jamaïque. On estime que jusqu’à 700 mm de pluie, des ondes de tempête autour des zones côtières provoquant des vagues allant jusqu’à 4 mètres et des vents allant jusqu’à 220 km/h. Des crues soudaines et des glissements de terrain catastrophiques sont probables. »
